P3966
Pecan Scab in the Home Landscape
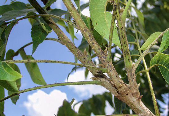
Pecan scab is the most economically damaging disease of pecans. Black, fuzzy, round or elongated lesions are produced on susceptible tissues that become infected with the pathogen (Figures 1, 2, 3, and 4). Leaves, green twigs, and shucks can be infected, and infection can result in defoliation, reduced stem growth, and nut loss. Severe disease may result in complete nut loss.
The most effective methods for pecan scab management are the use of resistant cultivars and the use of fungicides. The fungus that causes pecan scab is capable of infecting actively growing (immature) tissue. Immature tissue is present throughout most of the season until fall when nuts stop increasing in size. Moisture is required for infection. Often, this moisture is provided through rains, which typically occur throughout the growing season in Mississippi. Heavy fog may also provide the moisture necessary for infection.

Numerous pecan cultivars have been developed and are available for purchase. A number of these cultivars have various levels of resistance to the pecan scab fungus. Resistance can significantly help reduce pecan scab issues, but keep in mind that resistance is not a forever guarantee. Pecan trees are capable of surviving for 100 or more years, and resistance may not last for the life of the tree. In addition, cultivars that have resistance to scab may not have resistance to other diseases and insects that can affect pecans. When choosing cultivars for the home landscape, also consider susceptibility to insect pests and other diseases. See Extension Publication 3967 Disease and Insect Management for Pecans in Home Landscapes for information on other potential diseases and insect pests.


Homeowners who want to plant pecan trees in their yard should purchase cultivars that not only have resistance to scab but that are also suited for Mississippi’s climate. Plant trees in a location that has good sunlight and airflow. See Extension Publication IS1432 Pecans in the Home Landscape for information about recommended pecan cultivars for home landscapes in Mississippi. Homeowners with already established pecan trees may be able to reduce the level of scab that occurs annually by increasing the airflow and sunlight available to the trees.

Fungicides largely aid in pecan scab management by protecting or preventing tissue from becoming infected. Fungicides, therefore, should be applied before the occurrence of conditions that are favorable for disease development. Since actively growing tissue is present throughout much of the growing season and applied fungicides lose effectiveness over time, fungicides must be applied frequently as long as favorable conditions for disease development exist. This means fungicide applications are often needed every 2 to 3 weeks, depending on rainfall frequency, over a 5- to 6-month period during the growing season each year.
In commercial pecan production, fungicides are applied using special equipment that is capable of delivering the fungicide into the canopy of a tree. This is necessary to get adequate coverage of the fungicide on susceptible tissues that are often greater than 30 feet high. Also, because the pathogen can develop resistance to a particular fungicide (active ingredient) or group of fungicides and because there are limits as to how much of a particular fungicide (active ingredient) can be applied each season, it is necessary to use multiple fungicides over the course of the season. This is done by alternating (rotating) the fungicide being applied at each application. Fungicides must be rotated according to their designated fungicide group (FRAC group, listed on the product label), which groups fungicides according to their mode of action and target site, rather than by the name of the product. This is because products may contain the same or a related active ingredient that has the same mode of action and target site.
For homeowners, it is generally not feasible to apply fungicides for pecan scab management. First, homeowners typically do not have the equipment necessary to effectively apply fungicides to large trees. Small sprayers, such as pump-up hand sprayers, tree and shrub hose-end sprayers, and 12-volt pump “ATV sprayers,” may be used to deliver fungicides to small trees no more than 20–25 feet tall, but these sprayers will not provide coverage of foliage beyond this height.
Second, there are limitations when it comes to product availability. Most fungicides labeled for pecan scab management and commonly used in commercial pecan production are not available in quantities appropriate for the typical homeowner. Application rates for these products are expressed as an amount per acre rather than an amount per gallon, making it difficult or impossible to accurately measure and mix the appropriate spray solution for just one or a few trees. Some of these products also have restrictions that may preclude their purchase or application by someone without a pesticide applicator’s license or their use in residential areas.
Various home garden products that are labeled for use on pecans (or nuts) and scab are available for purchase online and/or at local garden stores (Table 1). Some of these products may not provide effective disease management when favorable environmental conditions (frequent rainfalls) or high disease pressure is present. These factors, along with the need to rotate fungicides and to spray frequently, make it impractical for the typical homeowner to carry out an effective pecan scab fungicide spray program.
Despite the challenges, some homeowners may still want to apply fungicides to protect their pecan trees. A list of home garden fungicides labeled for use on pecans (or nuts) and scab is available in Table 1; descriptions of these fungicides are also included below. Homeowners who choose to use a small sprayer to apply fungicides labeled for pecan scab to yard trees must read and follow all label directions before use. Some product labels indicate that products should be applied only to non-bearing trees that will not produce fruit for at least 1 year after application. The label is the law.
Additional information on various sprayers that may be used to apply fungicides to small trees is available in Extension Publication 3967 Disease and Insect Management for Pecans in Home Landscapes. Alternatively, it may be possible to hire a professional who has the proper equipment and fungicides to spray the trees regularly; however, such a professional may not be available in all locations, and this option may still not be suitable for various reasons, such as tree location.
Active ingredient(s)2 (FRAC group)3 |
Product(s) (additional active ingredients, if any) |
Labeled crop |
---|---|---|
boscalid + pyraclostrobin (FRAC 7 + 11) |
Bonide Fruit Tree & Plant Guard Concentrate (lambda-cyhalothrin) |
pecan |
neem oil, neem oil extract, or cold pressed neem oil |
Bayer Advanced Natria Neem Oil Concentrate |
nuts |
Captain Jack’s Neem Max Concentrate |
nuts |
|
Captain Jack’s Fruit Tree Spray Concentrate |
nuts |
|
Ferti-lome Fruit Tree Spray (pyrethrins, piperonyl butoxide) |
nuts |
|
Ferti-lome Triple Action (pyrethrins) |
nuts |
|
Monterey Fruit Tree Spray Plus (pyrethrins) |
nuts |
|
Monterey 70% Neem Oil |
nuts |
|
phosphorous acid (FRAC P07) |
Monterey Garden Phos |
pecan |
propiconazole (FRAC 3) |
Ferti-lome Liquid Systemic Fungicide II4 |
pecan |
sulfur (FRAC M02) |
Captain Jack’s Orchard Spray Concentrate (pyrethrins) |
pecan |
1Many labels do not specifically list pecan but do allow for product use on “nuts” or “tree nuts.” Products may also be labeled for other diseases. “Ready to use” formulations are available for some products but are not included in the table because the small quantity of product in which these products are sold is not sufficient for spraying a tree. Other products labeled for use on pecan against scab may be available.
2Data on the efficacy (effectiveness) of some active ingredients against pecan scab is not available. Under favorable environmental conditions (frequent rainfalls) or high disease pressure, some products may not effectively reduce disease development. If a product includes multiple active ingredients intended for use against a variety of pests, including pathogens and insects and/or mites, the active ingredient that is considered to be a fungicide (not strictly an insecticide or miticide) is listed in the active ingredient column and other active ingredients are listed in parentheses in the product column.
3Fungicides are grouped, by the Fungicide Resistance Action Committee (FRAC), by their mode of action and target site. One method used to prevent the development of resistance in pathogens is to incorporate fungicides from multiple FRAC groups into a spray program and rotate or alternate products from different FRAC groups at each application.
4Product is only allowed for use on nonbearing nut trees that will not produce fruit for at least 1 year after application of product.
Boscalid (FRAC 7) + pyraclostrobin (FRAC 11): The home garden fungicide Bonide Fruit Tree & Plant Guard Concentrate is available in small quantities and is labeled for use against scab in pecan. By themselves, boscalid and pyraclostrobin each have a medium to high or medium risk, respectively, of resistance development in pathogens (Standish et al., 2021). In combination, the risk of resistance development in the scab pathogen should be reduced. However, application of this product should be alternated throughout the season with fungicides from other FRAC groups. Both boscalid and pyraclostrobin have good efficacy against pecan scab when resistance is not present. Resistance has been reported to FRAC 11 fungicides.
Oils, such as neem oil or neem oil extract: Several home garden fungicides containing neem oil or neem oil extract as the active ingredient by themselves or in combination with another active ingredient, such as an insecticide, are labeled for use on nuts and scab. Data on the efficacy of these products against pecan scab and other foliar diseases is not available. Under favorable environmental conditions or high disease pressure, these products may not effectively reduce disease development. Be aware that application of oils under certain environmental conditions has been shown to cause leaf burn in some plant species; follow label instructions and take appropriate precautions if using oil-based products.
Phosphorous acid (FRAC P07): The home garden fungicide Monterey Garden Phos is available in small quantities and is labeled for use against scab in pecans. Products with phosphorous acid are often recommended as an option to include in a fungicide spray program for pecan scab management in commercial orchards. Phosphorous acid has been shown to work well against both leaf and nut scab.
Propiconazole (FRAC 3): The home garden fungicide Ferti-lome Liquid Systemic Fungicide II is available in small quantities and is labeled for use against scab in pecans. This product is only allowed for use on nonbearing nut trees that will not produce fruit for at least 1 year after application. FRAC 3 fungicides have good efficacy against pecan scab when resistance is not present and are often recommended as an option to include in a fungicide spray program for pecan scab management in commercial orchards. These fungicides have a medium risk of resistance development in pathogens. Application of this product should be alternated throughout the season with fungicides from other FRAC groups.
Sulfur (FRAC M02): The home garden fungicide Bonide Citrus, Fruit, & Nut Orchard Spray is available in small quantities and is labeled for use against scab in pecans. Sulfur generally has poor efficacy against pecan scab and will likely not perform well, especially when disease pressure is high. FRAC M02 fungicides have a low risk of resistance development in pathogens.
Products for commercial pecan production containing oils, phosphorous acid, propiconazole, and sulfur may also be allowed for use in home landscapes. Keep in mind that commercial products are sold in large quantities. Application rates may be difficult or impossible to accurately calculate for use in the home landscape as commercial product rates are often given in volume or quantity per acre. The same may be true for products containing the fungicide ziram (FRAC M04). This fungicide typically has fair to good efficacy against pecan scab and has a low risk of resistance development in the pecan scab pathogen. Phosphorous acid and ziram products are commonly incorporated into pecan scab fungicide programs for commercial pecan production.
References
Standish, J. R., Brenneman, T. B., Bock, C. H., & Stevenson, K. L. (2021). Fungicide resistance in Venturia effusa, cause of pecan scab: Current status and practical implications. Phytopathology 111, 244–252.
Teviotdale, B. L., Michailides, T. J., & Pscheidt, J. W. (Eds.). (2002). Compendium of nut crop diseases in temperate zones. American Phytopathological Society Press.
This work is partially supported by Crop Protection and Pest Management, Extension Implementation Program, award no. 2021-70006-35580 from the USDA National Institute of Food and Agriculture. Any opinions, findings, conclusions, or recommendations expressed in this publication are those of the author and do not necessarily reflect the view of the U.S. Department of Agriculture.
Publication 3966 (POD-03-24)
By Rebecca A. Melanson, PhD, Associate Extension Professor, Central Mississippi Research and Extension Center. Reviewed by Clarissa Balbalian, Plant Diagnostic Laboratory Manager, MSU Extension; Eric Stafne, PhD, Professor, Coastal Mississippi Research and Extension Center; Jessica Sibley, DeSoto County Extension Agent; and Randy Sanderlin, PhD, Professor (retired), Plant Pathology, Louisiana State University AgCenter.
The Mississippi State University Extension Service is working to ensure all web content is accessible to all users. If you need assistance accessing any of our content, please email the webteam or call 662-325-2262.